- Tipo: Fincas y solares
- Operación Venta
-
Municipio: Mijas
-
Población:Mijas
-
Terraza: Sí
-
Metros parcela: 19525m2
-
Año de construcción:
Características
- Aire acondicionado: no
- Orientación: Sur
- Estado: Disponible
Detalles
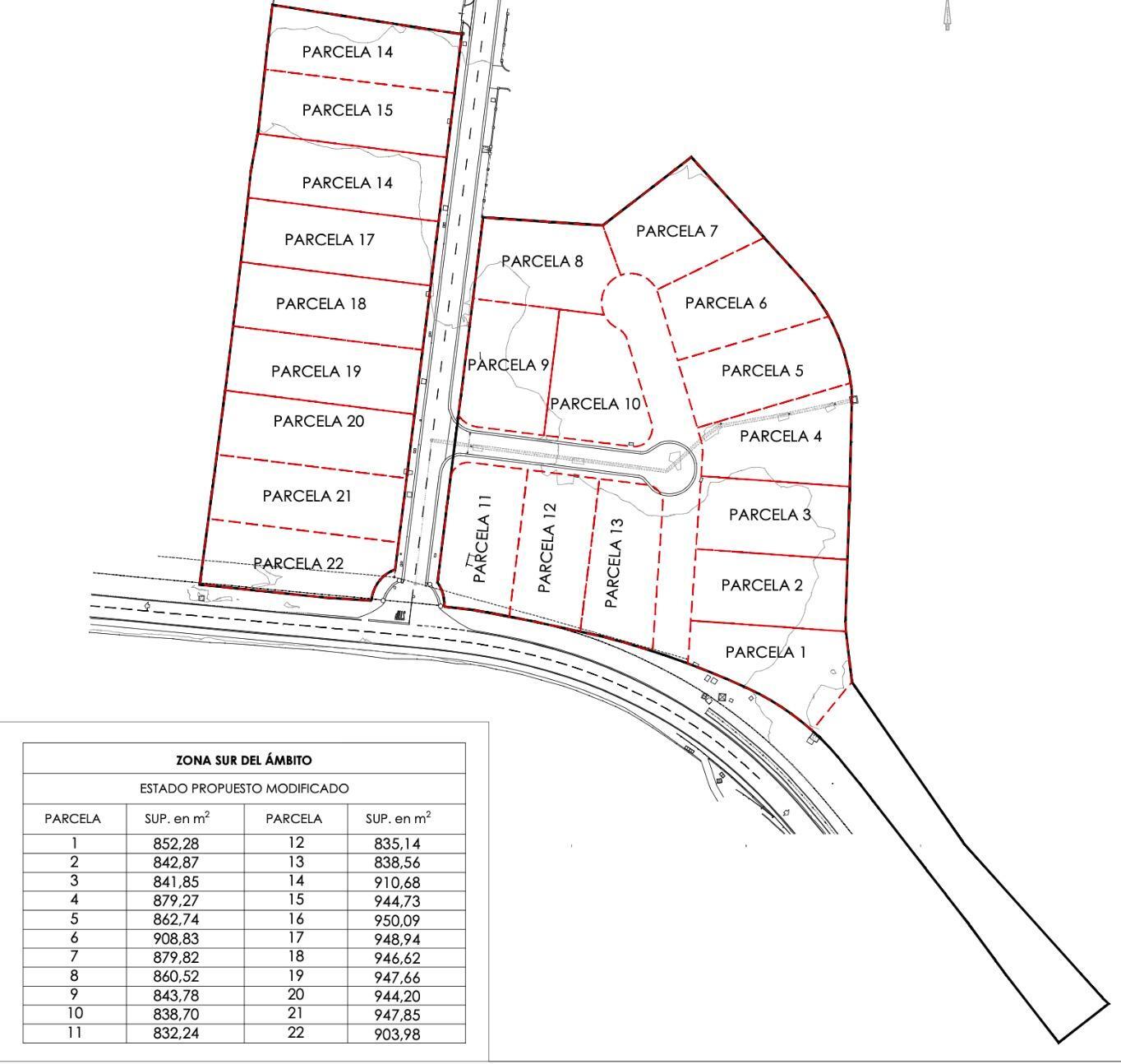
TERRENO URBANO PREMIUM CON PROYECTO 22 VILLAS DE LUJO EN MIJAS GOLF ? COSTA DEL SOL Exclusiva oportunidad de inversión en Mijas Golf. Se ofrece terreno urbano de 19.525 m² con proyecto definido para el desarrollo de 22 villas independientes de lujo, en una de las zonas residenciales más consolidadas y demandadas de la Costa del Sol. Una propuesta única dirigida a promotores e inversores que buscan alta rentabilidad, seguridad urbanística y ubicación prime. UBICACIÓN ESTRATÉGICA Situado en Mijas Golf, en un entorno exclusivo, tranquilo y rodeado de naturaleza, junto a campos de golf y con vistas abiertas al mar Mediterráneo. A 10 min de Fuengirola y playas A 20 min del Aeropuerto Internacional de Málaga A 30 min del centro de Málaga Zona urbana consolidada, residencial de alto nivel DATOS URBANÍSTICOS CLAVE Superficie total: 19.525 m² Parcelas: 22 Tamaño medio de parcela: 900 m² Ordenanza: AIS4 ? Vivienda Unifamiliar Aislada Edificabilidad: 0,25 m²t/m²s Edificabilidad total: 4.881,25 m² Proyecto diseñado para 22 villas de lujo, con: 225 m² construidos aprox. por vivienda más sótano habitable y terraza solarium Posibilidad de unir parcelas para desarrollar villas de mayor tamaño y valor añadido. Terreno con topografía prácticamente llana, acceso asfaltado y servicios disponibles, lo que permite una rápida ejecución del proyecto. ANÁLISIS DE MERCADO Y VALOR Valor de mercado del suelo: 7.810.000 ? (400 ?/m² ? sin IVA) Precio de venta del terreno: 6.000.000 ? Diferencial claro entre valor actual y precio de adquisición, generando un escenario óptimo de rentabilidad. PRECIO DE VENTA ESTIMADO DE LAS VILLAS Según estudio de mercado: Entre 6000 ?/m² y 7000 ?/m² Alta demanda de obra nueva de lujo en Mijas Golf, con excelente absorción del producto terminado. OPORTUNIDAD PARA PROMOTORES Proyecto definido y escalable Ubicación prime junto a golf Mercado de alto poder adquisitivo Fuerte proyección de revalorización CONDICIONES DE COLABORACIÓN Colaboración con agencias e intermediarios! Disponemos de dossier completo, planos y documentación urbanística Contactar para ampliar información o concertar visita privada al terreno.